5088 NOLU İMAR UYGULAMASI DUYURUSU
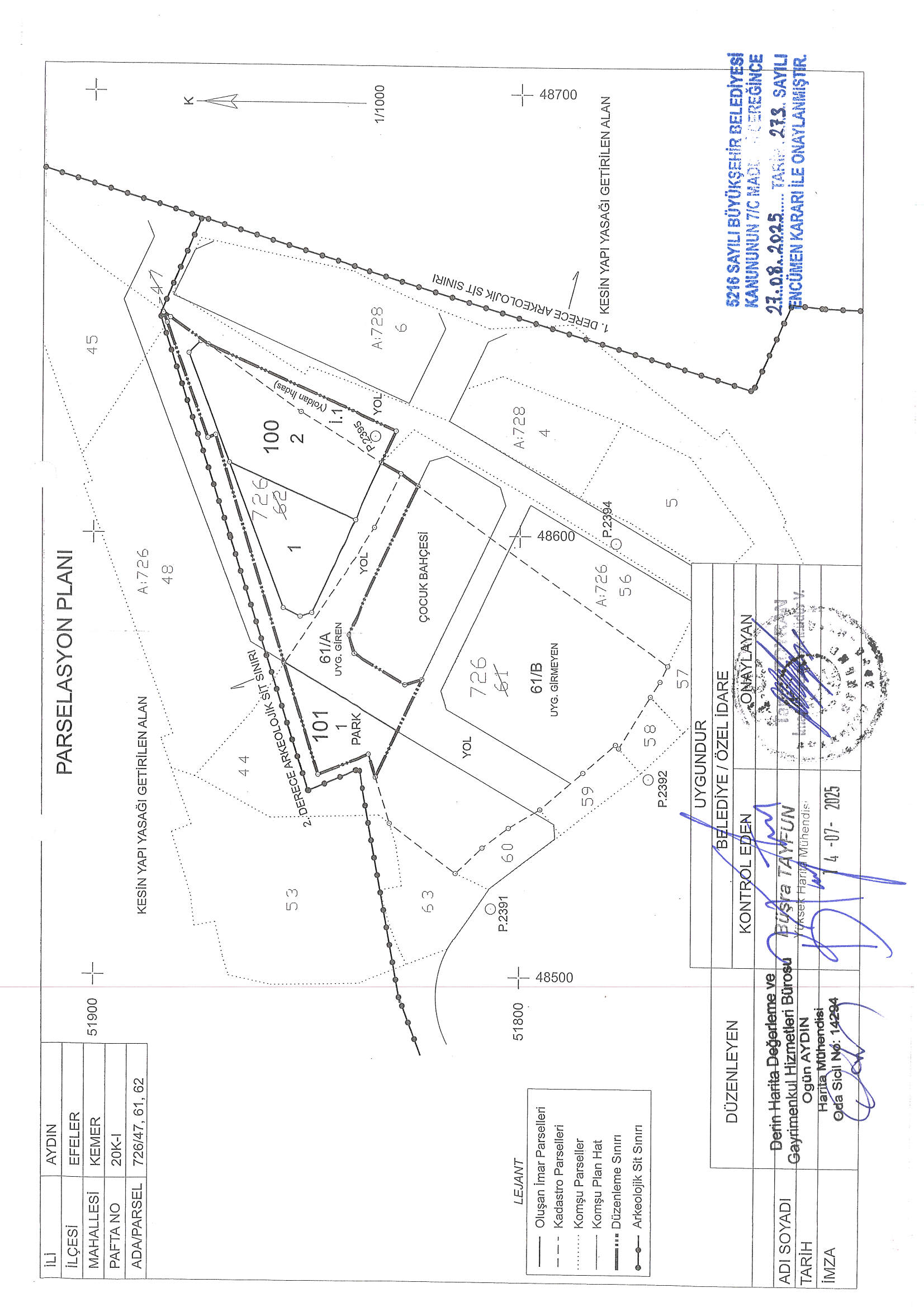
İlimiz, Efeler ilçesi Kemer Mahallesi Ada 726 ada 47,61(Kısmen), 62 parsellerin bulunduğu alan Efeler Belediyesi Encümeninin 08/05/2025 tarih ve 493 nolu kararı ile, Aydın Kültür Varlıkları Koruma Bölge Kurulu‘nun 27/06/2025 tarih ve 453 kararları ile 5088 nolu düzenleme bölgesi olarak kabul edilmiş ve 5216 Sayılı Büyükşehir Belediyesi Kanununun 7. Maddesinin (b) hükmü kapsamında Aydın Büyükşehir Belediyesinin 27/08/2025 tarih ve 273 nolu encümen kararı ile tasdik edilmiştir.
